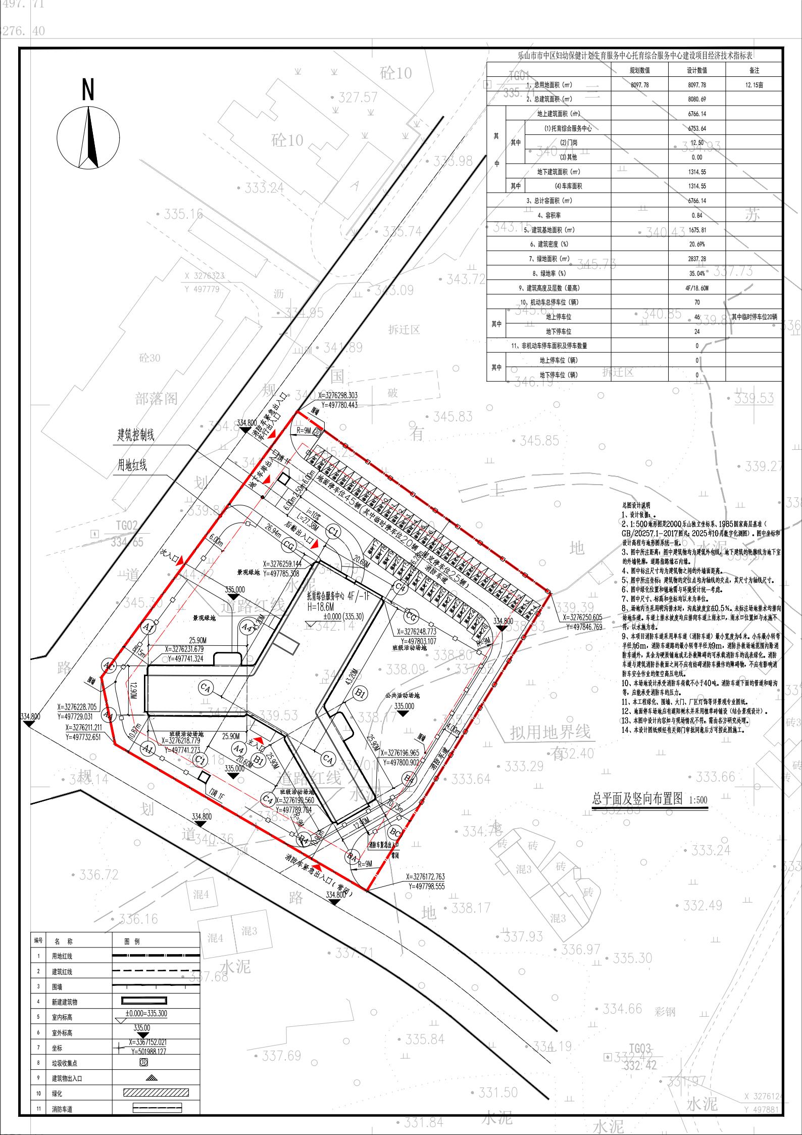
项目名称:乐山市市中区妇幼保健计划生育服务中心托育综合服务中心建设项目
建设单位:乐山市市中区妇幼保健计划生育服务中心
设计单位:上海开艺设计集团有限公司
建设地点:市中区
现依法对建设工程设计方案内容予以公示,征求利害关系人意见。本规划公示内容自2026年1月8日起公示,公示时间为七个工作日(有效反馈意见时间为公示期间)。如有意见请在公示期间持本人身份证明等书面意见反馈给市自然资源局及相关职能部门。公示期间有关利害关系人享有依法提出申请听证的权利。
附:乐山市市中区妇幼保健计划生育服务中心托育综合服务中心建设项目
意见反馈联系电话及地址
联系电话:0833-2438049
联系地址:乐山市中心城区春华路西段553号
(注:如对公示内容有不明确之处,请向我局咨询。)

乐山市自然资源和规划局
2026年1月8日